A Clissold Road WalkThe street will be so familiar to both pupils and teachers that everyone will have look at it with new eyes and see not just the houses, but the changes which have taken place over the last two hundred years. This is too complicated to be told in the street, so teachers will want to go over this in class before taking pupils on the actual walk. We are going to look at the buildings in Clissold Road, but first we must look at some old maps. Then we shall look at the different sites and trace the buildings which have stood on them at different times. Having talked about one site we will walk to the next one and talk about that. So we shall have to hop backwards and forwards in history as we walk down the road.
The large red field was the Glebe Field which the Vicar may have worked as his Home Farm, or rented out to a farmer. The red brick houses in Paradise Row came up to the edge of the Glebe Field. The Old St Mary’s Church is shown on the 1812 map, but the new one, on the other side of the road, would not be built until 1855. The Tithe MapThirty two years later, in 1846, a large map of Stoke Newington was made by the surveyor Allerton, who later gave his name to Allerton Road. It was surveyed on behalf of St Paul’s Cathedral, which owned the Manor of Stoke Newington. In earlier times everyone had to pay a tenth of their income to the church and the church became extremely rich. These tenths, or tithes (the tenth pig, the tenth egg, even a tenth of the grass from the edge of the road) were complicated to collect so they had been sold off for money rents. As the value of money fell, the money rent became worth less and less each year. In the end the tithe rent for an acre of land in Stoke Newington was worth three return tickets to London on the coach. The Tithe Map numbers each plot and shows us which houses had been built by 1846. Albion Road had been built and lined on both sides with houses with large gardens. Printed by kind permission of Hackney Archive. There is a splendid reproduction of the Tithe Map in Hackney Archive and these maps are photographs of small parts of it. (Jack's Note: LINE IN EDGE OF GLEBE FIELD WITH A FADED RED LINE ACCORDING TO THE MAP IN THE BLUE FOLDER) This map of Albion Road in 1871 shows the prosperous houses when they were at their peak. It is a redrawing of the Ordnance Survey map. This 1871 map showed the garden layouts and other details not shown on ordinary maps. It took so long to compile and cost so much, that no similar map was ever attempted.
Drawing of the Cubitt Estate in Albion Road in 1872,
|
| "The erection of three blocks of 100 flats to provide rehousing accommodation for persons to be displaced from eight small clearance areas is nearing completion. The site is in Lordship Terrace and in close proximity to Clissold Park. The three houses are to be named "Ormond House", "Lord ship House" and "Clissold House". It is claimed that when the new flats are completed and the houses in the Clearance Orders are demolished, Stoke Newington will be a slumless borough." |
The Architectural Press decided that the flats were outstanding.
"The new estates built by the London County Council in Kennington and Stamford Hill and the Somers Town buildings of the St. Pancras House Improvement Society must be included in the most aesthetically satisfying achievements of our time at Kennington and Stamford Hill they come as close to perfection in their type as anything done in Germany,Holland, or Austria, and they definitely surpass the most expensive block of flats built in the West End of London." `Housing and Slum Clearance in London', |
These included the flats in Lordship Terrace and at the corner of Church Street and Clissold Road, opposite Clissold Park.
By 1934 the London County Council must have been basking in the praise showered on their new flats in Lordship Terrace.
Stoke Newington Borough Council decided to build some similar blocks of flats on the Glebe Houses site.
The Glebe Houses were still good houses and could have been renovated, but the wealthy people had left, driven out by the factories behind Church Street. The Glebe houses had been divided up and were in need of repair, but they had enormous gardens. This space was what was needed if people were to be re-housed. The gardens would provide the room for large blocks of flats.
The Glebe Place site had been acquired by Stoke Newington Borough Council in September 1927 at the price of £9,325, for the purpose of erecting a swimming Bath. This was built on the gardens of the Glebe house and on Swift’s cottage. When the Swimming Baths were completed in 1930, an area of 1.18 acres had not been used. The four houses and part of the gardens were still available. There was a proposal to build a New Town Hall on the site, but the idea was abandoned in 1931 and the Town Hall was built further along the road.
"Stoke Newington Borough, Council, in 1933, declared the following areas as (Slum) Clearance Areas under its powers under the 1930 Housing Act.
From The Stoke Newington Borough Guide 1933
|

A Barn Street Cottage in 1912
Hackney Archive picture

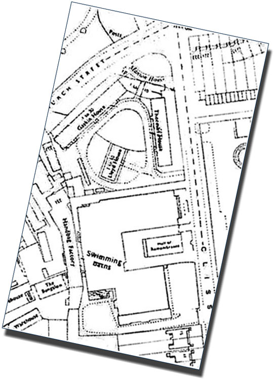
The Site of the 1936 flats and the Swimming Bats
These occupy the old site of the four Glebe Houses and Swift’s Cottage

The newly built flats on the 1936 OS map
The map shows the Swimming Bath and the new flats but the future site of Clissold School (and then Stoke Newington School was still a row of houses like the ones on the other side of the road.
Undated Swimming Bath, 1936 Flats and Clissold Park School Plan
This undated plan must be after about 1960 because it shows Clissold School and may be from perhaps 1980. It seems to relate to the early planning of Betty Layward School. It certainly gives a good overall picture of the area towards the end of the century.
Clissold Road was built beside the Glebe Houses in a curved path from Church Street to Albion Road.

The 1868 Ordnance Survey map showing Albion Road cut through
the Glebe Field.
The site of the Glebe houses has been highlighted.

The 1913 Ordnance Survey map of Clissold Road
The red area shows the changes to Vicar’s Glebe Field. For centuries this had been the Vicar’s Home Farm which he had farmed himself, or rented out to someone else. The green patch is the present site of Betty Layward School and far in the future.
The Church hoped to make money by leasing the land to builders. Then they could charge the future householders Ground Rent every year from then on. A house is part of the land it stands on. Leaseholders lease the houses for a fixed number of years but have to pay ground rent every year for the ground it stands on. Freehold houses, which own the land they stand on, were rare at that time. Therefore the Church decided to build Clissold Road across the Glebe Field, lay it out in building plots and get builders to build houses. The builders would sell or rent out their houses, while the church would collect the ground rents for ever.
The 1868 Ordnance Survey map shows that Clissold Road had been built from Stoke Newington Church Street to Albion Road. Clissold Road had to curve as the Vicar did not own the estate to the south. Plot 108 on the map belonged to Mr. Alexander and would be sold on his death, in 1891. Therefore, when Clissold Road was built, over twenty years earlier, the road had to curve to join Albion Road and Church Path at the one point.

A typical Clissold Road house.
The new Clissold Road had large, four-storey houses along both sides. They were built to impress. They were for wealthy people, managers of businesses, lawyers, doctors, with large families and at least one servant living in. Each house would have been occupied by one family, with several children and perhaps with an unmarried aunt, or bachelor brother living there and at least one servant living in. The road is coloured red on the 1887 Booth Poverty maps, which means that the occupants were classified as ‘Middle class - Well to do.’
Bumpus, the father and two sons, who owned the famous Bumpus Bookshop, lived here. This house is one of a block of four and the design was repeated on both sides of the road. The houses are in London Stock brick with stucco basements and stucco dressings round the windows. The stucco work is more elaborate than in the Cubitt stucco work in Albion Road but there is less of it. There had been a reaction against shoddy brickwork completely covered with stucco so here, most of the wall is exposed brickwork. There are taller front flights of steps than usual. This allowed for higher semi-basements and more light than usual in them. The porches have round columns and Doric capitals with a heavy entablature above; the upper windows too have elaborate stucco surrounds and there are brackets to the eaves of the houses.
By about 1840 Albion Road had been made and the houses built, but the future site of Clissold Road was still a field. Instead of relying on tiny tithes from farmers, the Church hoped to make money by leasing the land to builders. Then they could charge the future householders Ground Rent every year from then on. A house is part of the land it stands on. Leaseholders lease the houses for a fixed number of years but have to pay ground rent every year for the ground it stands on. Freehold houses, which own the land they stand on, were rare at that time. Therefore the Church decided to build Clissold Road across the Glebe Field, lay it out in building plots and get builders to build houses. The builders would sell or rent out their houses. The church would collect the ground rents for ever.
The houses were designed to attract well-off people. The design is big and imposing. All these large houses were built to the same design down both sides of the street. This was a huge undertaking. Most Stoke Newington builders built two or perhaps four houses. Here one builder seems to have built all the houses. Even Cubitt did not do that in Albion Road. He built a few houses and let out plots to other builders, so the houses vary in size and design. If the houses were not all built by one builder, the Church must have insisted that they were all built to the same design, but this seems most unlikely.
Link to Stucco, the Poor Man's Stone
In her book 'Kitchen Fugue', Sheila Kaye Smith wrote about her Late Victorian childhood in Sutherland Avenue, Paddington, built in 1885, with houses not unlike those in Clissold Road.
'Besides the nursery staff we had a cook, a house-parlourmaid and a housemaid. I do not suppose that anyone today in my father's position [a doctor] would keep more than two maids, or indeed more than one. But in keeping three he was doing no more than most. In Arabella's house there also were three maids, and in every other house from number one upwards to the top of the hill. Forty-six houses - one hundred and thirty-eight maids in white caps and white aprons, print dresses in the morning and black dresses in the afternoon - one hundred and thirty-eight maids, sleeping in basement bed-rooms, eating in basement kitchens, carrying meals up basement stairs - up other stairs as well, for we had all our meals carried up to the nursery - carrying hot water to each bedroom four times a day, carrying coals for half a dozen scuttles, lighting and making up half a dozen fires, cleaning and blackleading half a dozen grates, sweeping carpets on their knees with dustpans and brushes, scrubbing floors, polishing furniture and "brasses" with polish they had to make themselves, and, lighting the gas in every room and pasage when darkness fell, besides all the business of cooking and waiting at meals and washing up afterwards - No, I do not think we were over staffed. The house had been built in 1885, and when my parents took possession of it as its first tenants it was regarded as the very latest expression of modernity and domestic enlightenment. It had, for one thing, a "housemaids cupboard" half way up the second flight of stairs, a sensational improvement on those houses where no water at all was laid on above the basement. We had a bathroom, too, and there was a cloakroom with hot and cold water taps on the ground floor. Nothing could be more up to date. 'Kitchen Fugue', published in 1945 but written about a period sixty years earlier. |
Things stayed like this in Clissold Road for many years. The area became poorer. The well-off people, who had moved into Clissold Road houses when they were new, had moved out. The area behind Clissold Road and Carysfort Road had become full of piano makers, printers, and all sorts of other factories. The houses in Clissold Road had been split up into flats and rooms, with make-shift kitchens, cookers on the landings, lavatories shared by several families, and people having to go to public baths each week for a bath. What had been elegant houses deteriorated into overcrowded tenements not far short of slums. They looked better than other places because they had been fine houses but inside things were often quite squalid.
By the 1930s there was a crisis in London Houses and the Glebe Place houses became caught up in it. We have already seen that this led to the building of the 1936 flats on the site of the old Glebe Houses.

In 1881, when Clissold School and Woodberry Down Comprehensive School
were
being amalgamated to form Stoke Newington School, this block of houses
was
empty
and derelict. It was to be demolished and Devon House would
be built
on the site.
When the Clissold Road houses were built Thistleton House still stood at the end. This is shown in brown on the 1891 Sale Plan of the Alexander Estate. Thistleton House (lot 13) stood on the edge of the pavement. A narrow passage behind led to the large Pleasure Ground behind where Betty Layward School would be built many years later. At some time after the sale Thistleton House was demolished and stables were built on the site.
(Photographed by permission of Hackney Archive)
The stables at the end of Clissold Road in 1871
This Drain Plan refers to No. 1 Clissold Road but it shows the stable yard next door. This had been built on the triangle of land which was left when Thistleton House was demolished.
This drainage application, in 1871, shows that 1a was a Stable, Coach House and Harness room. It was quite an ingenious use of an awkward site. There were a stable yard in front, a coach house behind and a doorway to a tiny saddle room right at the back.
![]() |
![]() |
Mosque application date and architects


The Plan of the Mosque on the old stables site

The elevation of the Mosque

Clissold Road Mosque under construction in 1992
The final building will look just like the houses next door. In fact it is a modern steel- framed building with a skin of brick. The triangular shape fills the footprint of the old stable building exactly. The old Cinema, which also became part of the Turkish Cultural Centre, has been renovated and can be seen on the left.

The newly completed building with a brick façade
to
imitate the 1870 house fronts next door.

While digging foundations for the Mosque an old piece of cast iron was found. This suggested that there had once been a forge on the site and work was halted while the ground was examined carefully by local archaeologists. The following account was published in the local paper, but since then the trail has gone cold. Others may be able to tell the rest of the story.
Presumably the piece of pipe was not part of an old forge. This pipe must have been something else. When one looks at the triangular stables site and the way every inch was occupied, there seems to have been no room for a forge anyway.

Forging ahead! Clr Cam Matheson (Left) and a
building boss get to grips sith a slice of history

The Mosque newly completed in 1992
UK Turkish Islamic Cultural Centre Trust
From The Mosques of London
By Fatima Gailani, Pub. 2000
The view from a little to the left, in line with the rear wall, can be very puzzling until one realises that the original site was triangular.
| ||||||